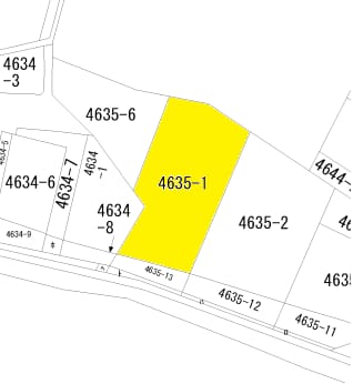
住宅用土地 長野県東筑摩郡麻績村麻4635-1
- 価格680万円
- 坪単価5.81万円
- 土地面積387m2
- 建蔽/容積-/-
- 通学区麻績村立麻績小学校(670m)
麻績村立筑北中学校(150m)
最終更新日 2026年05月26日
サンエネック(株)
0120-87-3923
ココスマを見てとお伝えください
地図・周辺環境
※物件位置が表示されていない場合があります。
また特に外部リンク先のGoogleマップでは、実際とは異なる位置が表示される場合があります。
物件の正確な位置は必ず取扱い会社へお問合せください。
サンエネック(株)
0120-87-3923
ココスマを見てとお伝えください
物件詳細
| 価格 | 680万円 |
|---|---|
| 坪単価 | 5.81万円 |
| 土地面積 | 387m²(公簿) / 117.06坪 |
| 所在地 | 東筑摩郡麻績村麻4635-1 |
| 通学区 | 麻績村立麻績小学校(670m) 麻績村立筑北中学校(150m) |
| 交通 | 電車:篠ノ井線聖高原駅 距離720m 徒歩9分 高速道路:長野道 麻績I.C. 車2分 |
| 備考 | ①本物件は上下水道の引込がされておらず、利用に際しては買主負担にて引込工事が必要となります。②登記地目が「田」であるため、建物の建築や資材置場等への用途変更を行う場合には農地法第5条の許可申請が必要となり、許可取得を前提とした取引となります。 |
| 都市計画 | 区域外 |
| 用途地域 | 無指定 |
| 地目 | 田 |
| 最適用途 | 住宅用土地 |
| 土地権利 | 所有権 |
| 接道状況 | 方角:南 公私区分:公道 |
| 設備 | 建築条件なし |
| 取引態様 | 一般媒介 |
| 手数料 | 手数料必要 |
| 引渡し/入居日 | 相談 |
| 管理番号 | 20260410 |
| 物件番号 | 452127 |
| 最終更新日 | 2026-05-26 |


















